Book a Viewing

To book a viewing for this property, please call Carters Estate Agents, on 01827 215 100.

To book a viewing for this property, please call Carters Estate Agents, on 01827 215 100.

For Sale
£150,000

Land, Long Street, Atherstone, CV9

Long Street, Atherstone, CV9


Carters Estate Agents Primary Brand brand logo

Carters Estate Agents

95 Long Street, Atherstone

Description

Description:

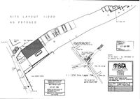
This is an exceptional opportunity to acquire a strategically positioned parcel of land, located in an excellent town centre location. Planning was approved in 2001 for the construction of five one-bedroom apartments. This has since expired so a new application would be required upon purchase.

The land is currently vacant and not utilised, there is a public footpath that runs adjacent to the plot that provides access onto Long Street. A right of access is in place across the plot, providing rear access to the Hat & Beaver, Long Street.

Location:

This site is located on North Street in Atherstone, boasting excellent transport links with close proximity to the A5, M69, and M6, the location ensures effortless access to key towns and cities while retaining a semi rural location.

Planning Permission:

Planning permission was granted in 2001 for the construction of 5 × 1 Bedroom Apartments, with associated parking on the site. This was valid for 5 years and has since expired. Full details of the planning application can be found via. North Warwickshire Council Ref: PATHAT/0644/2001/FAP. We have been advised that there are no affordable housing requirements or S.106 Contributions.

Further detailed information, including copies of the planning documentation, relevant plans and proposed sale/rental values, is available in an additional information pack, which can be obtained upon request from the Vendor’s agent - Carters Estate Agents, Atherstone.

Key Features

  • TOWN CENTRE RESIDENTIAL DEVELOPMENT SITE
  • EXPIRED PLANNING FOR 5 x 1 BED APARTMENTS
  • EXCELLENT LOCATION IN PROXIMITY TO ATHERSTONE HIGH STREET
  • APPLICATION REFERENCE: PATHAT/0644/2001/FAP

Property Details

  • Property type: Land
  • Council Tax Band: TBD
Please note, property and plot sizes displayed are for guidance purposes only and may have been derived from publicly available information over which neither the agent nor Street.co.uk have control.

Location

Properties you may like

By Carters Estate Agents

Disclaimer - Property ID 5eea13c4-c302-4e40-b5af-c484910a246c. The information displayed about this property comprises a property advertisement. Street.co.uk and Carters Estate Agents makes no warranty as to the accuracy or completeness of the advertisement or any linked or associated information, and Street.co.uk has no control over the content. This property advertisement does not constitute property particulars. The information is provided and maintained by the advertising agent. Please contact the agent or developer directly with any questions about this listing.